Hüftgelenkdysplasie (HD) beim Hund

Zusammenfassung

Die Hüftgelenkdysplasie ist eine sehr häufige Erkrankung beim Hund. Sie kommt auch bei der Katze nicht selten vor. Sie führt unweigerlich zur Arthrose der betroffenen Gelenke. Dennoch verläuft sie oft symptomlos oder lässt sich mit einfachen - in der Regel nichtchirurgischen - Behandlungsmethoden erfolgreich therapieren. Informationen zu diesem Thema finden Sie einerseits in diesem Kapitel, aber auch im Abschnitt Arthrose in der Infothek.

Weitere Informationen

Wie jedes Gelenk besteht das Hüftgelenk aus einem knöchernen Gerüst, Gelenkknorpel und der Gelenkkapsel. Das Gelenk wird durch die umliegenden Muskeln bewegt.
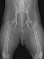
Der Aufbau des Gelenkes entspricht dem eines Kugelgelenkes. Im Becken befindet sich die Gelenkpfanne. In dieser schalenartigen Vertiefung liegt der Gelenkkopf des Oberschenkelknochens. Knorpel in der Gelenkpfanne und auf dem Oberschenkelkopf sorgt für eine reibungslose Beweglichkeit des Gelenkes und hat stoßdämpfende Eigenschaften.

Die Abbildung zeigt die Röntgenaufnahme eines Hundes mit normalen Hüftgelenken.

Für eine optimale Gelenkfunktion müssen die Gelenkflächen von Oberschenkelkopf und Hüftgelenkpfanne exakt zusammen passen. Außerdem müssen Oberschenkel und Becken durch den Weichteilapparat so straff gehalten werden, dass sie nicht auseinander weichen, allerdings ohne dabei die Beweglichkeit des Gelenkes zu behindern.

Abb 2 Huefte DysplastischAls „Hüftgelenkdysplasie“ wird eine Fehlbildung der gelenkbildenden Strukturen bezeichnet. Die knöchernen Strukturen passen nicht zusammen, die Weichteile (insbesondere die Kapsel) sorgen nicht für einen straffen Zusammenhalt („Laxizität“), oder es liegt (wie in den meisten Fällen) eine Kombination aus beiden Faktoren vor. Egal in welcher Form die Hüftgelenkdysplasie auftritt, sie führt unweigerlich zu einer Arthrose des Gelenkes. Der Grad der Arthrose kann sehr unterschiedlich sein und hängt indirekt auch mit dem Grad der Fehlbildung des Gelenkes zusammen.

Die Abbildung zeigt die Röntgenaufnahme des Beckens eines Hundes mit schwerer HD. Die Arthrose ist jedoch zum Zeitpunkt der Aufnahme gering ausgeprägt.

Entstehung der Erkrankung

Die Hüftgelenkdysplasie ist eine erbliche Erkrankung. Das Tier trägt die Anlagen zur Ausbildung einer korrekten oder dysplastischen Hüfte in seinem Erbgut. Der Erbgang für die Hüftgelenkdysplasie ist jedoch äußerst kompliziert. Nicht jeder Hund, der entsprechende Anlagen trägt und weiter vererbt, leidet selbst an einer Hüftgelenkdysplasie – umgekehrt können Hunde, die selbst nicht erkrankt sind, die Hüftgelenkdysplasie vererben und entsprechend erkrankte Nachkommen haben. Außerdem kann eine Hüftgelenkdysplasie sehr unterschiedlich stark ausgeprägt sein. Wie stark die Probleme sind, die durch die Fehlbildung hervorgerufen werden, kann zusätzlich in gewissem Umfang auch durch den Besitzer beeinflusst werden. Er kann dafür sorgen, dass es nicht zur Überlastung der Gelenke kommt (Überbeanspruchung durch zu intensive sportliche Betätigung, insbesondere bei jungen Hunden, Adipositas, fehlerhafte Fütterung). Andererseits kann der Besitzer durch dosierte Belastung dafür sorgen, dass ein solider Muskelmantel gebildet wird, der maßgeblich an der Stabilisierung des Gelenkes beteiligt ist.

Abb 3 Hueftarthrose SchwerDa jedoch erbliche Faktoren bei der Hüftgelenkdysplasie sehr entscheidend sind, kommt es bei entsprechend veranlagten Hunden selbst bei optimalen Fütterungs- und Haltungsbedingungen zur Ausbildung einer schweren Hüftgelenkdysplasie. Andere Patienten bekommen trotz massiver Fütterungs- und Haltungsfehler nur eine geringgradige oder keine Dyplasie. Die Haltung hat also einen gewissen Einfluss auf die Entwicklung der HD, im Einzelfall ist die Ausbildung der Hüften jedoch niemals vorhersehbar.
Außerdem ist der Grad der Symptome (Probleme im Alltag) nicht mit dem Grad der Arthrose oder der Dysplasie gleich zu setzen. Es gibt Hunde mit schwerer Hüftdysplasie, die jedoch kaum eine Lahmheit zeigen. Andere Tiere lahmen selbst bei geringer HD sehr stark.

Die Abbildung zeigt die Röntgenaufnahme eines Hundes mit schwerer Hüftgelenkdysplasie und hochgradiger Arthrose beider Hüftgelenke.

Erblichkeit und Zuchtzulassung

Huefte 1Seit langer Zeit ist bekannt, dass die Hüftgelenkdysplasie eine erbliche Erkrankung ist. Daher haben Zuchtverbände bei Hunderassen, die zur Hüftgelenkdysplasie neigen, Auswahlkriterien für die Zuchtzulassung bestimmter Hunderassen festgelegt. Diese orientieren sich bisher an Röntgenbildern der Hunde, die für die Zucht zugelassen werden sollen. Da nicht jeder Hund, der Anlagen zur Vererbung der Hüftgelenkdysplasie trägt, auch selbst erkrankt, gibt es zahlreiche Fälle, in denen Nachkommen HD-freier Hunde an einer Hüftgelenkdysplasie erkranken. Rückwirkend werden die Elterntiere und Geschwister jedoch nicht aus der Zucht genommen und vererben die Erkrankung weiter. Ein weiteres Problem ist der Umstand, dass nicht nur mit HD-freien Hunden gezüchtet werden darf. Hunde mit einer sehr geringen Ausprägung der Erkrankung werden zur Zucht zugelassen, obwohl man schon bei der Zuchtzulassung weiß, dass diese Tiere entsprechende Erbanlagen tragen. Zudem gibt es Fälle, in denen eine Hüftgelenkdysplasie auf den zur Zuchtuntersuchung erforderlichen Röntgenaufnahmen nicht erkannt werden kann.
Diese Faktoren führen dazu, dass eine „HD-Freiheit“ bisher bei keiner der veranlagten Rassen erreicht wurde. Allerdings wäre die Zucht vieler Rassen ohne eine gewisse Toleranz gegenüber erblichen Erkrankungen nicht möglich, da kaum noch Zuchthunde zur Verfügung stünden. Dieser Umstand und auch wirtschaftliche Faktoren führen dazu, dass die Hüftgelenkdysplasie auch in der Zukunft ein großes Problem bei Hunden bleiben wird.

Symptome der Hüftgelenkdysplasie

Die fehlerhafte Ausbildung des Hüftgelenkes verursacht bei erkrankten Patienten Schmerzen. Das Tier reagiert auf die Schmerzen und auch auf die Laxizität der Hüftgelenke mit einer Veränderung des Ganges. Bei betroffenen Welpen tritt häufig die Phase eines „eiernden“ Ganges auf. Im Laufe des Wachstums stabilisieren sich die Weichteilstrukturen jedoch, so dass es sehr häufig zu einem Abklingen der Lahmheit kommt. Durch eine Verkürzung der Schrittlänge fällt die Schmerzhaftigkeit im Hüftgelenk dann vorübergehend kaum noch auf. Da die Hüftgelenke jedoch nicht gesund sind, bildet sich mit der Zeit eine Arthrose. Diese führt dann wiederum zu Schmerzen und zum erneuten Einsetzen der Lahmheit nach einigen Lebensjahren.
Bei der orthopädischen Untersuchung stellt der Tierarzt meist Schmerzen bei Streckung des Hüftgelenkes fest. Oft ist auch die Beweglichkeit des Gelenkes eingeschränkt. Wenn das Gelenk instabil ist, kann das häufig durch spezielle Untersuchungsmethoden festgestellt werden. Bei Gelenken mit ausgeprägter Arthrose ist nicht selten ein Knacken/Knirschen hörbar- und fühlbar.
Stellt der Tierarzt die Verdachtsdiagnose einer Hüftgelenkdysplasie, wird er in der Regel zu einer Röntgenuntersuchung raten.

Beurteilung von Röntgenaufnahmen

Die Diagnose „Hüftgelenkdysplasie“ wird durch die Beurteilung von Röntgenbildern gestellt. Dabei wird untersucht, ob eine Dysplasie vorliegt, wie ausgeprägt sie ist, und wie stark die Arthrose bereits fortgeschritten ist. Da die Ausbildung des Hüftgelenkes erst zum Ende des Knochenwachstums abgeschlossen ist, kann der Grad der Dysplasie erst beim ausgewachsenen Hund beurteilt werden. Es ist beispielsweise möglich, dass bei einem Hund im Alter von sechs Monaten noch keine oder nur eine geringe Dysplasie festgestellt wird, beim gleichen Tier im Alter von 14 Monaten jedoch eine hochgradige Dysplasie vorliegt. Leider ist der umgekehrte Fall nicht anzutreffen. Liegt in jungem Alter eine Dysplasie vor, wird diese allenfalls schlimmer, jedoch nicht besser.
Bei der Anfertigung der Röntgenaufnahmen muss unterschieden werden, welchem Zweck sie dienen sollen.
1. Sind sie Bestandteil einer Untersuchung zur Zuchtzulassung eines Hundes, muss das Tier für die Röntgenuntersuchung in Narkose gelegt werden. Das Tier muss das Mindestalter für die Anfertigung der Aufnahmen erreicht haben und die Röntgenaufnahme muss bestimmte lagerungs- und belichtungstechnische Qualitätskriterien erfüllen. Die Aufnahmen dürfen nur durch wenige offizielle HD-Gutachter beurteilt werden und werden direkt vom anfertigenden Tierarzt an den Gutachter eingesandt. Dieser Tierarzt darf die Bilder nicht begutachten, darf sie nicht an die Besitzer aushändigen und darf die Entscheidung über die Einsendung an den Gutachter nicht von seiner eigenen Beurteilung abhängig machen. Hierdurch werden Tier und Besitzer vor Fehldiagnosen und der Tierarzt vor eventuellen Regressansprüchen geschützt. Der Zuchtverband erhält bei konsequenter Umsetzung dieser Regeln wertvolle Informationen über die Ausbreitung der Hüftgelenkdysplasie. Der Gutachter beurteilt die Röntgenaufnahmen und legt den bei dem untersuchten Tier vorliegenden Grad der Hüftgelenkdysplasie fest. Dieser Grad wird in die Papiere des Tieres eingetragen.
2. Werden die Röntgenaufnahmen zur Abklärung einer Lahmheit, also aufgrund einer medizinischen Indikation, angefertigt und nicht an einen offiziellen Gutachter eingesandt, dürfen sie vom Tierarzt ohne Narkose angefertigt und beurteilt werden. Häufig ist jedoch auch in diesem Fall zur Röntgenuntersuchung der Hüftgelenke eine kurze Narkose notwendig.

Therapiemöglichkeiten: „Mein Hund hat HD – was nun?“

Die Hüftgelenkdysplasie ist eine sehr weit verbreitete Erkrankung. Sie kann sehr unterschiedlich stark ausgeprägt sein und zu sehr geringen, aber auch sehr starken Symptomen führen. Entsprechend unterschiedlich sind die bestehenden Therapiemöglichkeiten. Welche Behandlung für den einzelnen Patienten „die Beste“ ist, hängt von verschiedenen Gegebenheiten ab. Folgende Faktoren sollten vor einer Entscheidung mit berücksichtigt werden:
Alter des Patienten, Fortschritt des Knochenwachstums, Grad der Hüftgelenkdysplasie, Grad der Arthrose, Körpergewicht, Gewichtsverteilung (eher adipös, eher muskulös bzw. „body mass index“), Einstellung und finanzielle Verhältnisse des Besitzers, Erfahrung des behandelnden Tierarztes mit bestimmten Therapiemethoden, Möglichkeiten zur Physiotherapie.
Die Therapie kann nichtchirurgisch („konservativ“) oder chirurgisch sein. Ein konservatives Vorgehen hat den wesentlichen Vorteil, dass man erst den Effekt abwarten und sich bei ausbleibendem Erfolg immer noch für eine Operation entscheiden kann. Bei vielen Patienten ist die konservative Therapie so erfolgreich, dass ein chirurgisches Vorgehen nicht mehr notwendig ist. Bei anderen Patienten kann auf diese Art die Zeit bis zu einer eventuell notwendigen Operation überbrückt oder verlängert werden.

Ein guter Tierarzt wird immer versuchen, die für Ihren Hund geeignete Maßnahme mit der geringsten Invasivität zu finden. Ein künstliches Hüftgelenk zum Beispiel sollte nur in Erwägung gezogen werden, wenn konservative Maßnahmen nicht den gewünschten Erfolg gebracht haben. Leider wird bei einer Hüftgelenkdysplasie häufig grundsätzlich zur Kunsthüfte geraten. Es gibt jedoch viele Fälle, in denen selbst schwer arthrotisch veränderte Hüftgelenke noch eine gute Funktion ermöglichen Entscheidend ist allein, ob es dem Hund mit seinem natürlichen Hüftgelenk gut geht oder nicht. Da der Grad der Arthrose nicht mit dem Grad der Lahmheit korreliert, kann eine solche Entscheidung nicht allein anhand des Röntgenbildes getroffen werden. In die Entscheidung müssen auch die Nutzung des Hundes (Jagdhund, Diensthund, Familienhund usw.), Körperkonstitution und andere individuelle Faktoren mit einbezogen werden.

Konservative Maßnahmen zur Behandlung einer Hüftgelenkdysplasie

Die wesentlichen konservativen Maßnahmen sind:

  • Belastungsanpassung
  • Gewichtsanpassung
  • Physiotherapie
  • Schmerz- und Entzündungshemmung
  • Futtermittelzusätze

Konservative Maßnahmen können miteinander kombiniert angewandt werden. Folgende Ziele sollen hiermit erreicht werden:

  • Reduktion der Belastung der Hüftgelenke durch Gewichts- und Belastungsanpassung
  • Kräftigung der Muskulatur und Erhaltung der Beweglichkeit durch Physiotherapie
  • Schmerz- und Entzündungshemmung durch Medikamente und eventuell Futtermittelzusätze

Ein wesentlicher Vorteil dieser Therapie stellt ihr geringes Risiko dar. Das einzige nennenswerte Risiko besteht in möglichen Arzneimittelnebenwirkungen. Diese sind selten. Eine Verbesserung der Symptomatik tritt meist nicht umgehend, sondern im Laufe der Zeit ein, da die durch Physiotherapie, Belastungs- und Gewichtsanpassung gewünschten Ziele (Muskelaufbau, Beweglichkeit, Gewichtsreduktion) langsam eintreten. Umgehend eintretende positive Effekte können in der Regel auf die Schmerzmedikation zurückgeführt werden.

Tritt nach einigen Wochen konservativer Therapie keine Verbesserung ein, muss über weitere Maßnahmen nachgedacht werden.

Chirurgische Maßnahmen zur Behandlung einer Hüftgelenkdysplasie

Für die Hüftgelenkdysplasie ist eine Vielzahl von Operationsmethoden verfügbar. Sie unterscheiden sich wesentlich in ihren Indikationen und Risiken. Da viele Methoden aufgrund fehlender Wirksamkeit oder der Entwicklung besserer Alternativen kaum noch durchgeführt werden, stellen wir hier nur die am häufigsten durchgeführten Methoden vor:

Abb 4 Tpo1. Beckenosteotomien (Dreifache oder zweifache Beckenosteotomie): Diese Methoden sind insbesondere für junge Hunde mit geringer Arthrose aber deutlicher Instabilität im Hüftgelenk geeignet. Die Umstellung der Hüftgelenkpfanne bewirkt eine bessere Abstützung des Oberschenkelkopfes. Dadurch wird bei instabilen Hüftgelenken die Tendenz zum Ausrenken des Oberschenkelkopfes und die damit einhergehende Reizung der Gelenkkapsel und Zerstörung des Gelenkknorpels reduziert. 

Die Abbildung zeigt die Röntgenaunfahme eines Hundes nach dreifacher Beckenosteotomie.

2. Symphysiodese: Bei der Methode wird das Wachstum des Beckens im bauchseitigen Teil gestoppt. Aufgrund des weiter wachsenden rückenseitigen Beckenbereiches und des Kreuzbeins kommt es zu einer mit dem Wachstum zunehmend verbesserten Überdachung der Oberschenkelköpfe. Da die Technik nur funktioniert, wenn das Becken nach der Operation noch deutlich wächst, ist die Technik nur für Hunde bis zu einem Alter von maximal vier bis fünf Monaten sinnvoll. Außerdem ist sie für Hunde mit schwerer Hüftgelenkdysplasie nicht geeignet. Da Hunde dieses jungen Alters nur selten mit Verdacht auf Hüftgelenkdysplasie vorgestellt und Röntgenaufnahmen des Beckens in der Regel erst am erwachsenen Hund angefertigt werden, wird die Methode relativ selten angewandt.

3. Denervation: Durch eine Zerstörung der die Gelenkkapsel versorgenden Nervenenden wird das Schmerzempfinden im Hüftgelenk reduziert. Die Methode ändert nichts an der Anatomie der Hüfte. Aufgrund der geringeren Schmerzen belasten die Tiere ihre Hintergliedmaßen nach der Operation jedoch häufig deutlich besser. Die Nervenenden wachsen meist wieder nach, so dass die Operation oft nur einen vorübergehenden Effekt hat.

Abb 6 Kunsthuefte4. Künstliches Hüftgelenk: Bei Hunden mit schwerer Hüftgelenkdysplasie ist der Ersatz des erkrankten Hüftgelenkes durch eine Endoprothese eine sinnvolle und erfolgsversprechende Therapie. Hierbei werden sowohl Gelenkpfanne als auch Gelenkkopf durch Implantate aus Titan und speziellen Kunststoffen ersetzt. So lange die Tiere mit ihren erkrankten Hüften jedoch noch gut laufen, ist die Kunsthüfte auch bei starker Arthrose nicht sinnvoll, da auch diese Operation nicht ohne Risiken ist. Lahmt der Hund jedoch deutlich, sollte mit dem Gelenkersatz nicht allzu lange gewartet werden, da die Erfolgsaussichten bei nicht allzu großem Abbau der umliegenden Muskulatur deutlich besser sind.

Die Röntgenaufnahme zeigt ein Hüftgelenk eines Hundes nach Einbringen einer Kunsthüfte - das verwendete Modell wird als "Zurich Cementless" bezeichnet.

Abb 5 Femurkopfresektion5. Femurkopf-Hals-Resektion: Bei der Methode werden Oberschenkelkopf und -hals entfernt. Es bildet sich mit der Zeit ein „Pseudogelenk“, das durch bindegewebige Strukturen und Muskulatur stabilisiert wird. Da bei dieser Operation das Hüftgelenk unwiederbringlich entfernt wird und ein späterer Hüftgelenkersatz kaum noch möglich ist, muss die Methode als Notlösung angesehen werden. Sie wird nur bei Hunden mit starken Schmerzen angewandt, und nur wenn andere (konservative und chirurgische) Methoden nicht erfolgreich waren, oder aus verschiedenen Gründen (Alter des Tieres, Kosten u.a.) nicht zum Einsatz kommen können.

Die Abbildung zeigt die Röntgenaufnahme der Hüften eines Hundes nach einseitiger Oberschenkelkopf-Hals-Entfernung.

Wie können wir Ihnen helfen?

Welche Therapieform für Ihren Hund in Frage kommt, kann erst nach eingehender Lahmheitsuntersuchung und nach Anfertigung guter Röntgenaufnahmen entschieden werden. Wir beraten Sie gern.